Забытая ржевская Прохоровка. Август 1942

- -
- 100%
- +
1-я танковая дивизия была сформирована в ноябре 1935 года. Принимала активное участие в Польской и Французской военных кампаниях. 22.06.1941 года перешла границу СССР в составе 4-ой танковой группы ГА «Север», дошла до Ленинграда. 19.09.1941. перешла в подчинение ГА «Центр» и в ее составе принимала участие в наступлении на Москву. 11 октября захватила г. Зубцов, затем наступала по Ленинградскому шоссе, продвинулась до н.п. Большой Раст, где была окончательно остановлена, и отступила в район Сычевка – Ржев. После участия в операции «Зейдлиц», дивизия была выведена в район города Спаск-Деменск, где готовилась к операции «Смерч». С 17.07.1941. и до конца 1943 года дивизией командовал генерал – лейтенант В. Крюгер, который поступил на военную службу еще в 1910 году, в качестве юнкера. За 30 лет он дослужился до звания генерал-лейтенант, участвуя во всех войнах, которые вела Германия в эти годы.
Состав 1тд на 01.08.1942.:
1 танковый полк:
2 танковый батальон
1 танко-гренадерский полк:
1 танко-гренадерский батальон
2 танко-гренадерский батальон
113 танко-гренадерский полк
1 танко-гренадерский батальон
2 танко-гренадерский батальон
72 артиллерийский полк, в составе 3-х дивизионов
1 мотоциклетный батальон
702 рота тяжелых пехотных орудий
37 истребительно противотанковый дивизион
37 саперный батальон.
81 полевой батальон.
Кроме того, в состав 1тд, как и любой другой, входили санитарные, интендантские и полицейские службы.
Также в составе 1тд еще сохранялась часть штаба 1 танковой бригады, которая будет задействована для командования передовым отрядом дивизии под Сычевкой.
В составе танкового батальона имелось 4 роты, включая штабную, в которых по состоянию на 15.07.1942 года насчитывалось 46 танков в том числе 2 Т2, 10 38t, 26 Т3 и 8Т4. Штабы танкового полка и батальона располагали четырьмя командирскими танками. Кроме того в 702 роте имелось 3 САУ, а в 37иптд – 12 САУ и 11СЗУ.
2-я танковая дивизия2-я танковая дивизия, также как 1тд, была сформирована в ноябре 1935 года и приобрела боевой опыт в польской и французской военных кампаниях. Но в отличие от 1тд, до середины августа 1941 года, находилась в резерве ОКХ. К началу октября 1941 года дивизия была передислоцирована в район г. Рославль для участия в наступлении на Москву. Под Солнечногорском 2тд была остановлена Красной Армией и отброшена на вновь созданный немцами рубеж обороны по линии Юхнов – Гжатск – Зубцов.
В июле 1942 года дивизия участвовала в операции «Зейдлиц», после чего была выведена в район Смоленска, где начала подготовку к участию в операции «Смерч». С 1 июля 1942 года 2-ой танковой дивизией командовал генерал-лейтенант Г. Эзебек, который состоял на службе в немецкой армии с 1911 года. До 1941 года генерал участвовал во всех военных кампаниях Германии. На советско-германском фронте воевал с конца августа 1941 года.
Состав 2тд на 1 августа 1942 года:
3 танковый полк:
2 танковый батальон
2 танко-гренадерский полк:
1 танко гренадерский батальон
2 танко-гренадерский батальон
304 танко – гренадерский полк:
1 танко-гренадерский батальон
2 танко-гренадерский батальон
74 артиллерийский полк
2 мотоциклетный батальон
38 истребительно противотанковый дивизион
703 рота тяжелых пехотных орудий
38 саперный батальон
По состоянию на 2 августа 1942 года в 4-х ротах 2тб насчитывалось 67 танков: 19 Т2, 26 38t, 21 Т3, 1 Т4. В распоряжении штаба полка и батальона имелось еще 3 командирских танка.
5-я танковая дивизия5тд была сформирована в ноябре 1938 года. В ее активе, помимо польской и французской военных кампаний, был поход на Балканы в апреле-мае 1941 года. В июле 1941 года 5тд поступила в распоряжение ГА «Центр» и в ее составе принимала участие в операции «Тайфун» по захвату Москвы. Наступала по Волоколамскому шоссе, с которого и была отброшена Красной Армией на линию Гжатск – Ржев. В июле 1942 года также принимала участие в операции «Зейдлиц», после чего была выведена в резерв ГА «Центр» и расквартирована в районе Вязьмы, где приводила себя в порядок и готовилась к участию в операции «Смерч».
С 25.11.1940. по 30.09.1942. дивизией командовал генерал-лейтенант Г. Рен, военная карьера которого началась еще в 1912 году. 5тд считалась одной из лучших дивизий Вермахта.
Состав 5тд на 01.08.1942.:
31 танковый полк:
1. танковый батальон (штаб батальона)
2 танковый батальон
13 танко-гренадерский полк, в составе 2-х батальонов
14 танко-гренадерский полк, в составе 2-х батальонов
55 мотоциклетный батальон
116 артиллерийский полк
53 истребительно-противотанковый дивизион
704 рота тяжелых пехотных орудий
89 саперный батальон
77 батальон связи
полевой батальон
Полные данные о количестве танков в двух батальонах 31тп 5тд имеются только на 25.06.1942 года: 26 Т2, 55 Т3, 13 Т4 и 9 командирских танков.
Из записей в ЖБД 5тд следует, что в боевых действиях под Сычевкой в 1-ой декаде августа принимал участие только один танковый батальон. Кроме того, в записи за 24 июля сообщается о следующей потребности в танках: Т2–15, Т3 36–38, Т4–9–10 штук. Примерно такое количество танков необходимо для комплектования одного танкового батальона. В течение двух последующих недель о поступлении в дивизию новых танков в журнале не упоминается, но 3 августа имеется запись о поступлении в 5Зиптд 3-х новых 75мм орудий, в составе дивизиона на 01.08.имелось также 6 САУ.
36-я моторизованная дивизия3бмд, хотя и не имела в своем составе танковых подразделений, упорной обороной своих тыловых рубежей в первый день советского наступления не позволила танковым бригадам 20А быстро расширить прорыв и стремительно выйти в район Карманово. А на второй день операции передовой отряд 2-й тд, подчиненный 36-й мд, уже пытался контратаковать наступающие советские войска.
3бмд была сформирована в 1936 году изначально как пехотная. В мае-июне 1940 года принимала активное участие во Французской военной кампании, после чего в сентябре этого же года была преобразована в моторизованную.
В войне с СССР участвовала с первых дней в составе 4-ой танковой группы ГА «Север». В сентябре 1941 года была передана в ГА «Центр», для участия в операции «Тайфун». Участвовала в захвате города Калинин, сейчас г. Тверь, Затем наступала на Москву по Ленинградскому шоссе, где была остановлена, понесла большие потери и была отброшена на линию Гжатск – Ржев. В июле 1942 года занимала оборону между населенными пунктами Погорелое Городище и Карманово.
С 15.10.1941. по 10.08.1943. дивизией командовал генерал-лейтенант Гольник, получивший офицерское звание еще перед 1-ой мировой войной. К началу 2-ой мировой войны был в звании полковник. Опыт ведения современной войны получил, участвуя, в Польской и Французской военных кампаниях.
На 1 августа 1942 года дивизия имела следующий состав:
87 мотопехотный полк
118 мотопехотный полк
36 артиллерийский полк
36 мотоциклетный батальон
36 саперный батальон
36 истребительно противотанковый дивизион.
1-я и 5-я танковые дивизии по прибытии в район Сычевки, были включены в состав 39-ого танкового корпуса, в состав которого входили 161-я и 328-я пехотные дивизии. Корпус из армейского был переименован в танковый 9 июля 1942 года, когда не имел в своем составе ни одной танковой дивизии. Вероятно, это была также составная часть операции «Кремль». Командовал корпусом известный немецкий военначальник, генерал танковых войск, Г. Арним.
2-я танковая дивизия по прибытии в район Карманово была подчинена командованию 46-ого танкового корпуса, в состав которого входили 36-я мд и 342-я пд. Корпус из армейского был переименован в танковый только 14 июня 1942 года, также не имея в то время в своем составе ни одной танковой дивизии. Командовал корпусом генерал пехоты Г. Цорн, обладавший большим военным опытом.
Глава 5. 5 августа 1942 года
Главная задача, которую поставил перед своими войсками на 5 августа командующий 31А генерал Поленов – это освобождение южной окраины г. Зубцов и захват переправ через р. Вазуза в полосе действия армии. Ширина полосы действия армии от Зубцова вверх по течению Вазузы составляла ок.15 км.
Противодействие войскам 31А помимо уцелевших подразделений 161пд, оказывали части 328пд, и подразделения 14мд спешно переброшенные на вновь создаваемую немецким командованием линию обороны.
Ситуация складывающаяся на этом участке фронта 05.08.1942.очень хорошо описана в ЖБД 4бтк: «Связь между 161 и 328 пехотными дивизиями нарушена. Для улучшения руководства боевыми действиями в 10.50 остатки 161пд подчинены командованию 328пд, с задачей удержать предмостный плацдарм перед г. Зубцов. В 14.00 положение 161пд ухудшилось. Танки противника прорвали линию обороны предмостного плацдарма. У командира корпуса нет никакой возможности помочь отступающим войскам. Командир 39тк назначил своего заместителя генерала Бюлова командовать этой группой войск».
Как следует из ниже приведенных записей, войска 31А 5 августа продолжали успешное наступление:
118сд к середине дня овладев опорным пунктом Мозгово и, закрепившись во всех ранее освобожденных населенных пунктах, поступила в резерв армии.
239сд наступая вдоль южного берега Волги, овладела населенными пунктами Молозино, Хахалево, Лутовинино, Гармоново, Берниково и развивала успех на Пищалино.
164сд, как следует из отчета армии об операции, к 14.00 выбила противника из Засухино, Аполево, а к исходу дня совместно со 101тбр овладела Сергиевское и вела бои на подступах к Пометкино и Ширкино. Подробно бои за освобождение этих населенных пунктов описываются в журналах боевых действий танковых бригад подвижной группы генерала Бычковского.
Из ЖБД 92тбр за 05.08.1942: «…противник из Засухино силой до батальона пехоты, двух арт. батарей, 3–6 минометов угрожал левому флангу бригады, была выделена рота танков с задачей уничтожить противника в Засухино. В 12.00 противник был выбит из Засухино…рота потеряла два средних танка…Развед. группой было установлено, что в районе Засухино-Пометкино обороняется до двух батальонов пехоты при поддержке двух арт. дивизионов и двух минометных батарей. 92тбр в составе 32 танков в предбоевых порядках повела наступление на Пометкино. Бой за Пометкино шел всю ночь. Противник дважды переходил в контратаку, чтобы вернуть Пометкино. Бригада потеряла 2 средних и 4 легких танка. 145тбр, не имея достаточной информации о действиях 92тбр, приняла танки 92тбр за танки противника и обстреляла, чем затормозила действия 92тбр».
Описание боя за Засухино из ЖБД 145тбр:
«Бригада в 10.00 сосредоточилась в лесу сев. – зап. высоты 199.0. В 10.30 1-й и 2тб с десантной ротой пошли в наступление на жел. дор. будку и на высоту 201.8. Из района будки и высоты танки были встречены сильным огнем ПТО, в результате чего было подбито 3 Т-34, 1 КВ и 1 Т-60, атака оказалась безрезультатной.
В 14.00 комбриг под своим руководством со всей мат. частью 1 и 2 тб во взаимодействии с 620сп 164сд, наступавшим в этом направлении, при поддержке батареи 680иап, пошел в атаку с обходом высоты 201.8, то есть на деревню Засухино.
В 16.00 деревня и высота были заняты».
20гвсд к исходу дня в тяжелых боях овладела населенными пунктами Григорово, Бубново, Карпово, Щелканово и Лукшино. Действующая, совместно с дивизией 34-ая тбр, была выведена в армейский резерв и в овладении Бубново дивизии уже помогала 101тбр.
247сд с 71тбр правофланговыми частями овладела населенными пунктами Козлово, Веймерово, Калошино, левофланговыми – Казаркино, Овсяниково, Анцифирово. 71тбр к исходу дня вышла в район Коробино.
88сд совместно с 212тбр, продолжая преследовать отходящего противника, к 14.00 освободила д. Каськово, а к исходу дня овладела рубежом Замошье – Малыгино.
Подводя итоги дня, можно констатировать, что немногочисленным войскам генерала Бюлова не удалось удержать ранее намеченный командованием 9А рубеж обороны от Щелково до Аполево и они откатились на линию Коробино – Берниково, но вследствие их упорного сопротивления, соединениям 31А к вечеру 5 августа так и не удалось выполнить все поставленные перед армией задачи, а именно выйти к р. Вазузе и освободить южную часть г. Зубцов.

Схема № 5. Боевые действия войск 31-й армии 5–бавгуста 1942 г.
Перед войсками 20А на 5 августа были поставлены следующие задачи:
251-ой сд наступать к рубежу Буконтово – Игнатово, передовыми отрядами захватить переправы на Вазузе.
331-ой сд наступать южнее 251сд к рубежу Печора – Сельцо и там также захватить переправы через Вазузу.
17-ой тбр поддерживать наступление этих двух дивизий.
354-ой сд наступать к реке Гжать, на Ярыгино.
У подвижной армейской группы полковника Армана задача прежняя – наступать в южном направлении на Новое Устиново – Бурцево.
Для 8-ого гвск также задача остается прежняя – совместно с 20тбр наступать в направлении Карманово, через Боры и Старое Устиново.
5 августа войскам 251 и 331 стрелковых дивизий организованного сопротивления не оказывалось, перед ними поспешно отступали разрозненные и дезорганизованные подразделения 161пд.
Из ЖБД 251сд за 5 августа: «Части дивизии, приводя себя в порядок, подтягивая артиллерию, главными силами достигли Акулиннино, Гусево, Красново, развивая наступление и к исходу 5.8.42. 92Зсп овладел Петровское, Орехово. 919сп вышел на рубеж Тублово, Фролово, Власово. Противник, собрав свои отступавшие в панике, разбитые подразделения в Чупятино, подтянул резервы из глубины. Установлено движение 4 танков противника по дороге Бровцино, Козлово, Луковники. Массированными налетами авиации противник не дает развивать успех наступающим подразделениям дивизии. Части дивизии перегруппировываются и приводят себя в порядок».

Схема № 6. Боевые действия 20-й армии 5 августа 1942 г.
Боевые действия 331сд и 17тбр наиболее полно описаны в отчете 20А об операции: «Выполняя боевую задачу, части дивизии к середине дня 5.8. заняли Аннино, Ильинское, Брюхачево, Чайниково, продолжая преследование противника. Однако горючее было к этому времени на исходе. Было принято решение перелить все горючее в танки передового отряда, который в составе 5 Т-34 и роты автоматчиков бросился преследовать уходящего противника по маршруту Чайниково…, Васютники с задачей захватить Коптеловка и оседлать дорогу Карманово – Зубцов и вести разведку переправ на реке Вазуза, удерживая занятый рубеж до подхода частей бригады. К 20.00 5.8 передовой отряд занял Коптеловка и закрепился в этом населенном пункте».
В этих условиях командование 9А вечером 5 августа ставит перед 5тд задачу – продвинуться до н.п. Старый Березуй и закрепиться на территории от устья р. Гжать до этого населенного пункта. Однако, наблюдая за стремительно изменяющейся ситуацией, в 01.15 6 августа командование 9А готовит для дивизии новый приказ, предписывающей ей дальнейшее продвижение до линии Коробино-Высокино. Рубеж, который предписывалось занять 5тд, имел протяженность 25 км. С востока к этому рубежу подходили 4 советские стрелковые дивизии, поддерживаемые тремя танковыми бригадами. Выдвижение 5тд на Сычевку началось 5 августа в 07.15. Все моторизованные части выдвигались в маршевых колоннах. Танковый полк остался в Вязьме в ожидании железнодорожного транспорта. На марше оперативный отдел дивизии обсуждал со штабом 9А вопросы, связанные с оперативной обстановкой и дальнейшей дислокацией своих частей. Основные решения, которые были приняты во время марша:
• охрану предмостного плацдарма в районе н.п. Хлепень обеспечивает 5тд.
• для обеспечения безопасности участка дороги Буконтово – Карамзино, на основе 14тгп и 1-го батальона 1Зтгп, образовать боевую группу под командованием полковника Курца.
• 2-му батальону 1Зтгп поставлена задача, до подхода 1тд, обеспечить безопасность дороги от Карамзино до левого фланга 2тд, выдвигавшейся через Карманово. Для выполнения поставленной задачи этот батальон от Сычевки был направлен другим маршрутом, по полотну узкоколейной железной дороги, проходившей по левому берегу Гжати в район Карманово, в то время, как основные силы 5тд переходили Вазузу по мосту в районе н.п. Хлепень.
• 55 мотоциклетный батальон должен был обеспечивать защиту правого фланга своей дивизии по линии Истратово-Пустошка-Карамзино.
• подготовлен приказ о вводе в бой 31тп с рубежа занимаемого группой Курца.
• пункт сбора пленных намечен в н.п. Чупятино.
К вечеру 5 августа основная масса войск дивизии прибыла в намеченные районы. Из-за задержки с погрузкой на железнодорожные платформы танковый полк дивизии прибыл на железнодорожный разъезд, расположенный севернее Сычевки только ранним утром 6 августа, поэтому вечером 5 августа, бойцами 251сд за танки, вероятно, были приняты бронемашины 5тд.
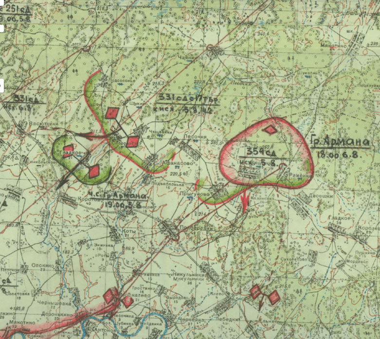
354сд, как следует из отчета 20А об операции «…успешно продвигаясь в юго-западном направлении и преследуя уходящего противника, овладела Праслово, Добрино, Мякотино и продолжала наступление в направлении Раменка, Прыгуново. Противник поспешно уходил бросая оружие, машины, склады и прочее военное имущество».
На левом фланге 354-ой сд наступала ПГ Армана в составе двух танковых и одной самокатно-мотоциклетной бригад.
188тбр закрепилась в населенных пунктах Прыгуново и Двоешки, 21Зтбр продолжала наступление в направлении населенных пунктов Подберезки и Лебедки.
Более подробное описание боевых действий на этом направлении есть в ЖБД 21Зтбр: «5.08 части бригады вели бой и овладели Вишенками и Раменка. На южной окраине д. Раменка погиб военный комиссар бригады Романовский Иван Федорович. Бригада получила задачу сосредоточиться в районе Скоростово и взаимодействуя с частями 354сд овладеть Подберезками. Бригада поставленную задачу выполнила – овладела д. Подберезки, потеряв 3 танка Т-34 с экипажами и командира батальона капитана орденоносца Денисенко. Захвачены трофеи: подбито танков противника – 4, бронемашин – 2, пушек разных калибров – 3… Бригада с боем заняла Никулинки, без потерь. До 22.00 вела боевую разведку укрепленного района д. Лебедки, потеряв одну машину Т-34, 2 Т-70 и перешла к обороне ночью».

Схема № 7. Боевые действия 354сд и ПГ Армана 5 августа 1942 г.
На рубеже населенных пунктов Вишенки и Раменка 21Зтбр и части 354сд встретились с передовыми подразделениями 2тд, выдвигающимися в этот район.
Как описано в ЖБД танковой дивизии, в Карманово она прибыла 5 августа в 3.30. В первой половине дня в дивизии было сформировано 3 боевые группы. В состав каждой группы включалось по одному гренадерскому батальону, артиллерийскому подразделению и небольшое количество танков.
Две боевые группы получают названия по фамилиям своих командиров – полковников Бишофсхаузена и Гоернэ, третья группа была подчинена командованию 3бмд и немедленно выдвинулась в район н.п. Старое Устиново.
Полковнику Люббе поручается сформировать еще одну боевую группу из отставших и тыловых частей и подразделений.
В соответствии с поступившим из 4бтк приказом, 2-ой тд назначается рубеж выдвижения Старое Устиново – Мякотино. На левый фланг, в направлении Мякотино, выдвигается группа Бишофсхаузена, на правый, к Старому Устинову, на стык с 3бмд – группа Гоернэ.
После обеда от передовых подразделений дивизии начинают поступать сообщения о появлении в районе населенных пунктов Прыгуново, Скоросово, Двоешки, Вишенки и Раменка большого количества русских танков с пехотой. А в вечерние часы на кп дивизии приходят сообщения об отходе войск 2тд из этих населенных пунктов. В 22.30 поступает сообщение о возвращении под свой контроль, в результате контратаки, н.п. Подберезки, но позднее сообщается об окончательной потере этого населенного пункта.
Как видно из этих записей, сведения о боевых действиях в названных выше населенных пунктах, по журналам боевых действий 21Зтбр и 2тд практически полностью совпадают.
Быстрое продвижение частей 354сд и ПГ Армана приводит к охвату 3бмд с запада. В этих условиях 3бмд в течение 5 августа продолжает оказывать упорное сопротивление наступающим на нее с трех направлений частям 8гвск, 20 и 11 танковым бригадам.
Описание боевых действий на этом направлении за 5 августа из ЖБД 20А: «После упорных ожесточенных боев, части 8гвск во взаимодействии с 20тбр прорвали оборону противника и овладели Семеновское, Коршиково, Старое Устиново, Новая, Красный Пахарь, Долгие Нивы и продолжали наступать в направлении Боры, Александровка, Воскресенское.
82сд и 40сбр продолжали сковывать противника на прежнем рубеже. Успеха не имели».
В результате наступления 8гвск, поддержанного двумя танковыми бригадами, оказалась перерезанной основная дорога, по которой осуществлялось снабжение 36-ой мд.
Подробно боевые действия в районе населенных пунктов Новое и Старое Устиново описаны в ЖБД 11ТБР: «В течение дня бригада находилась в Денежное, где приводила себя в порядок, производила подтягивание тылов.
В 17.30 бригада получила последующую задачу – действуя в направлении Нов. Устиново, Стар. Устиново, Боры, Овсяники, Карманово, последовательно овладеть этими пунктами и к исходу дня овладеть Карманово. В развитие этой задачи командиром бригады был отдан устный боевой приказ. Построение колонны – ГПЗ – взвод Т-60, 23бтб, 11тб, МСПБ, рота упр.; опер. группа за 11тб.

Схема № 8. Боевые действия 8гвск и 415сд 5–6 августа 1942 г.
В 19.00 бригада приступила к действию. С выдвижением к южной опушке леса севернее Нов. Устиново, танки встретили сильное огневое сопротивление ПТО средств противника со стороны Нов. Устиново. Действующая впереди 2бгв. сд несла потери, но овладеть Нов. Устиново не могла. Командиром бригады накоротке была произведена разведка и уточнение обстановки и действуя танками Т-34 в голове, атаковано Нов. Устиново.
В итоге боя, во взаимодействии с 2бгвсд, бригада к 23.00 овладела Нов. Устиново и продолжала действие на Стар. Устиново. На подступах к Стар. Устиново 2 танка Т-34 подорвались на минном поле, но это нисколько не задержало наступающие за ними танки. В процессе боя, членом Военного Совета 20-ой армии бригаде устно было приказано в дальнейшем действовать с 2бгвсд.
Потери: убито-2, ранено-2, пропало без вести-1. Подбито и подорвано на минах 3 танка Т-34».
В документе от 13 сентября 1942 года, подписанным Сталиным и направленным начальнику штаба Западного фронта боевые действия 11тбр трактуются совсем иначе:
«…4. Штаб подвижной группы потерял связь с 20 А на срок свыше двух суток и по существу игнорировал радио, а 11 тбр этой группы заблудилась, попав на участок 20 гв. ск. Штаб группы не сумел с ней связаться и 11 тбр несколько дней ввиду этого действовала в отрыве от группы».
На связи остановимся подробнее, так как в этом наступлении на нее действительно было очень много нареканий, причем начиная с первого дня операции.
Из оперативной сводки АБТУ 20А за 05.08.42.: «Связь с танковыми бригадами (кроме 17) работает плохо, радиостанции бригад отстают от материальной части и штабов. На рациях нет дежурных командиров штаба.
Офицеры связи пешие, посланные для связи с бригадами в (неразборчиво) часов 04.08, до 21.00. 05.08 обратно не вернулись».
Из аналогичной сводки за 07.08.:
«Связь с танковыми бригадами работает плохо. Рация штаба АБТУ распоряжением начальника отдела связи армии выключена ввиду перегрузки сетей. Проводной связи нет. Офицеры связи – пешие, из за трудной проходимости дорог».
Утверждение, что 11тбр «заблудилась» не понятно, она продвигалась по указанному ей маршруту через Новое и Старое Устиново и по распоряжению члена Военного Совета 20А была вынуждена действовать совместно с 26 гвардейской стрелковой дивизией 8-го гвск.
К сожалению, в ЖБД 8гвск записи за 5 августа отсутствуют, но достаточно подробно этот день описан в ЖБД 3бмд.
На основе ЖБД этой дивизии и карты Западного фронта в полосе наступления 20А попытаемся воссоздать картину боевых действий на левом фланге армии.
Главная задача, которую перед 8гвск поставило командование 20А после взятия н.п. Денежное – наступать в южном направлении на Воскресенское – Карманово.





